
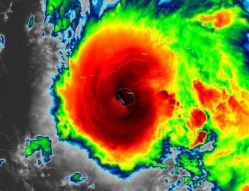
O furacão Ian, que passou por Cuba e esta a caminho da Flórida, nos Estados Unidos, ganhou o força e passou nesta quarta-feira (28) a categoria 4, informou o Centro Nacional de Furacões (NHC, na sigla em inglês) do país.
Até a última atualização desta notícia, o furacão estava localizado a cerca de 125 quilômetros a oeste da cidade de Naples, na Flórida, com ventos de até 220 quilômetros por hora, segundo o NHC.
O Ian ainda não tocou solo nos Estados Unidos, mas, desde terça-feira (27), moradores da costa do Golfo, no Estado, fecharam suas casas e seguiram para terrenos mais altos nesta terça-feira (27), enquanto o furacão Ian, que deixou muita destruição em Cuba, rumava para a região. A tormenta levará muita chuva e ventos de mais de 200 km/h.
/i.s3.glbimg.com/v1/AUTH_59edd422c0c84a879bd37670ae4f538a/internal_photos/bs/2022/2/d/x7XjeBRLyYcBTqWAXA2g/cuba2.jpg)
Rua parcialmente destruída em Pinar del Rio, Cuba, após passagem do furacão Ian — Foto: Ramon Espinosa / AP Photo
No dia anterior, a tormenta atingiu Cuba, deixando a ilha inteira sem energia e duas pessoas mortas, além de vilarejos inundados. A tempestade devastou o extremo oeste da ilha com ventos e inundações.
Na Flórida, oito regiões do Estado receberam ordem para sair de locais vulneráveis: Charlotte, Hillsborough, Lee, Levy, Manatee, Pasco, Pinellas e Sarasota.
A Baía de Tampa, que não é atingida por um furacão diretamente há cem anos, e a cidade de Saint Pestesburg eram os alvos mais prováveis para o primeiro impacto direto, segundo a primeira projeção. Porém, uma atualização agora projeta o Ian mais ao sul do Estado.
/i.s3.glbimg.com/v1/AUTH_59edd422c0c84a879bd37670ae4f538a/internal_photos/bs/2022/j/V/GN3xJDTO2WjfXYMIphdg/2709-furacao5.jpg)
Infográfico mostra projeção esperada para trajetória do furacão Ian — Foto: Arte g1
Cuba
/i.s3.glbimg.com/v1/AUTH_59edd422c0c84a879bd37670ae4f538a/internal_photos/bs/2022/U/w/pxmlOLSa6abT6BMYjDSA/2022-09-27t152241z-66262110-rc2lpw9hkfu0-rtrmadp-3-storm-ian.jpg)
Furacão Ian traz ventania e chuvas fortes à província de Pinar del Río, em Cuba, no dia 27 de setembro de 2022 — Foto: Stringer/Reuters
Embora o furacão já tenha passado por Cuba, o país ainda enfrenta fortes chuvas e ventos. Na noite de terça-feira, toda a ilha estava sem luz, segundo autoridades locais.
Lázaro Guerra, diretor técnico da União Elétrica de Cuba, disse que uma falha no sistema elétrico nacional, em parte associada à tempestade, afetou a infraestrutura, informou a mídia estatal.
“O sistema já operava em condições complexas com a passagem do furacão Ian”, disse Guerra, diretor técnico do Sindicato da Eletricidade de Cuba. "Não há serviço de eletricidade em nenhuma parte do país agora."
Por g1
Siga nosso instagram: @plantaohora